Smarter Cargo Screening with AI and Multi-Energy Array Technology
The Multi-Energy X-Ray Array Portal (MEAP) is an advanced inspection system for cargo and vehicles, combining synchronized Multi-Energy Array (MEA) technology, true Dual-View imaging, and real-time AI analysis. Built for demanding border, port, and customs environments, MEAP provides rapid, precise, and fully automated threat detection. Thanks to its modular design, the system can scale from a compact single-view setup to a full-featured Dual-View, multi-energy portal—ensuring adaptability as inspection needs evolve.
Boosted Throughput and Detection Accuracy
Through the combined power of MEA technology, Dual-View geometry, and AI automation, MEAP achieves measurable gains in speed, resolution, and screening intelligence:
- 2× Enhanced Spatial Resolution – Greater imaging detail through multi-angle data fusion.
- 2× Improved Material Discrimination – More accurate detection of organic, inorganic, and metallic threats.
- 2× Faster AI Processing – Reduced delays through real-time automated threat analysis.
Scanning Flexibility Across All Vehicle Classes
From light vehicles to fully loaded trailers, MEAP’s architecture supports reliable, non-intrusive inspection of any configuration. The system uses a multi-view projection approach to maintain consistent scanning performance across varied dimensions and cargo profiles, making it a reliable solution for mixed traffic at busy entry points.
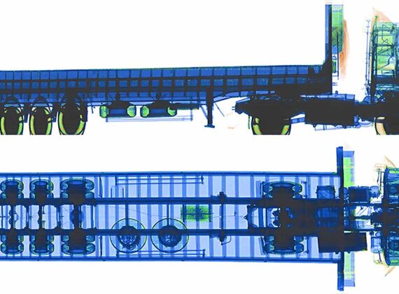
AI-Driven Dual-View Detection
Dual-View imaging enables MEAP to inspect cargo from multiple angles simultaneously. This multi-perspective capability gives the AI engine more data to work with—boosting its ability to identify anomalies, distinguish object types, and isolate potential threats. Color-coded material classification and automated flagging further streamline the decision-making process, helping reduce operator fatigue and inspection times.
Multi-Energy Imaging for Superior Clarity
At the core of MEAP is its ability to process multiple energy levels in parallel. High and low-energy X-ray sources work together to generate deeply penetrative, contrast-rich images. This fusion of energy perspectives eliminates visual blind spots, improves material identification, and enhances AI accuracy during threat recognition. Unlike legacy scanners limited to one or two energy levels, MEAP delivers both depth and definition across a broad range of cargo densities.
Scalable and Modular for Future Security Demands
The Multi-Energy X-Ray Array Portal (MEAP) is engineered for long-term flexibility and integration. Its modular architecture allows seamless deployment within existing security infrastructures, while also enabling future upgrades—from compact, single-source scanning units to full-scale, Dual-View, multi-energy configurations for advanced detection capabilities.
By combining MEA technology with adaptive automation and scalable hardware, MEAP delivers a new standard in high-throughput cargo screening. It empowers inspection teams to respond quickly to evolving threats, reduce inspection times, and ensure operational continuity across dynamic border and logistics environments.
Achieve next-level cargo screening performance with MEAP—the Multi-Energy X-Ray Array Portal built to meet the rising demands of modern security operations.
Key Advantages of MEA-Powered Inspection
- Multi-Energy Array Technology: Synchronized low and high-energy sources work in parallel to deliver both deep penetration and enhanced image clarity.
- Real-Time AI Analytics: Built-in AI classifies threats instantly and reduces operator burden through automated risk scoring and alerts.
- Dual-View Imaging System: Captures top and side projections in a single pass, eliminating blind zones and improving object separation.
- Intelligent Material Discrimination: Distinguishes between organic, inorganic, and metallic content using advanced energy fusion techniques.
- Flexible, Modular Design: Easily scales from a single-source scanner to a full-featured multi-energy portal as your operational needs evolve.
AI-Driven Multi-Energy Inspection
Enhances cargo inspection with Multi-Energy Array (MEA) technology—combining high and low-energy imaging and real-time AI automation for accurate, efficient threat detection./p>
Versatile Vehicle Screening
Supports drive-through inspection of all vehicle classes—from small passenger cars to heavy trucks—providing fast, safe, and consistent screening in a single scanning cycle.
Unmatched Penetration and Resolution
Combines powerful X-ray penetration and advanced spatial resolution to detect hidden threats and differentiate complex cargo structures with high precision.
Advanced Material Discrimination
Real-time fusion of multi-energy data enables the AI to accurately classify organic, inorganic, and metallic substances, improving decision speed and reducing false alarms.
Dual-View Multi-Perspective Imaging
Captures top and side projections simultaneously to eliminate blind zones, enhancing AI performance and improving detection confidence across complex cargo profiles.
Modular Architecture with Scalable Throughput
Flexible system configuration allows MEAP to scale performance for high-traffic locations—adjusting scan speed, resolution, and footprint to meet evolving security demands.
Technical data
Generator specifications
| Low-energy X-ray generator anode voltage: | |
|---|---|
| X-ray source 1 | 320 kV |
| X-ray source 2 | 320 kV |
| Low-energy beam direction: | |
| X-ray source 1 | Downward |
| X-ray source 2 | Lateral |
| High energy | 7,5 / 5,0 (MeV) |
| Maximum dose to driver | <0,1 μSv/scan |
Unit specifications
| Dimension of inspection tunnel: | |
|---|---|
| Width | 3,5 m |
| Height | 4,7 m |
| Scanning speed | 5-15 km/h |
Operation
| Operating temperature | from -20 °С to +50 °С |
| Operating humidity | up to 90% |
Generator specifications
| Low-energy X-ray generator anode voltage: | |
|---|---|
| X-ray source 1 | 320 kV |
| X-ray source 2 | 320 kV |
| Low-energy beam direction: | |
| X-ray source 1 | Downward |
| X-ray source 2 | Lateral |
| High energy | 7,5 / 5,0 (MeV) |
| Maximum dose to driver (the driver’s cabin is not scanned) | <0,1 μSv/scan |
Unit specifications
| Dimension of inspection tunnel: | |
|---|---|
| Width | 11.5′ |
| Height | 15.4′ |
| Scanning speed | 3.1 – 9.3 mph |
Operation
| Operating temperature | from -4 °F to +122 °F |
| Operating humidity | up to 90% |
Reviews and related links
- Enhanced threat detection for weapons, explosives, narcotics, and concealed contraband.
- Reduced bottlenecks at ports and border crossings through high-speed processing.
- Improved accuracy in material identification, distinguishing between organic, inorganic, and metallic substances with precision.
- Scalability and adaptability for evolving security challenges.
By adopting MEA-powered solutions, cargo screening facilities gain next-generation security capabilities, optimizing operational efficiency while staying ahead of modern threats in border security and trade compliance.

The fastest way to hear back from us is to fill the contact form below. Our appropriate department will get back to you depending on your inquiry as soon as possible.




































